Обяви 0 За нас Контакти
Продава ПАРЦЕЛ
област Варна, с. Калиманци
115 800 €
226 485.11 лв.

(30 €, 58.67 лв./m2)
Не се начислява ДДС
История на цената
Коригирана в 9:24 на 19 март, 2026 год.
Обявата е посетена 762 пъти.
Площ:
3860 m2
Регулация:
ДА
Ток:
ДА
Вода:
ДА

Описание на имота:


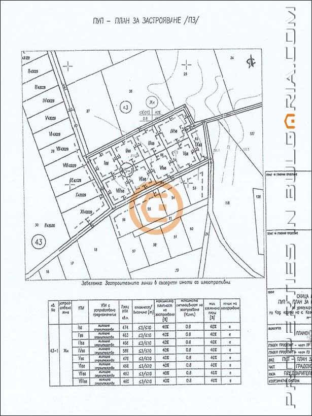
НАЙ-НИСКИТЕ ЦЕНИ! 3 860 кв.м парцел в регулация, равен, с правилна форма в края на с. Калиманци. За имота има завършен ПУП за разделяне на 8 парцела, всеки със собсвен достъп и параметри на застрояване:
Плътност - 60%
Кинт. - 1.2
Височина на застрояване - до 10 м
Кадастрален номер на имота: 35376.43.66
Координати: 43.275266, 27.714012
Ток и вода в съседство
От мястото се открива красивна панорамна гледка към Варненския залив, към селото и към околните полета. Село Калиманци се намира само на 15 км от Варна с редовен транспорт през целия ден до автогара Варна. В селото има няколко заведения, малки семейни хотели, конна база, малка зоологическа градина. Цената на имота е 30 EUR/кв.м. В съседство се продават още два по-малки парцела всеки с размери 551 кв.м, които могат да се купят допълнително. За огледи: 0888/26-88-18, 0888/50-78-49 и 02/9862-863. Посетете нашия уебсайт: www.propertiesinbulgaria.com - най-добрите имоти, препродажба от англичани, на най-ниски цени - вече 28 години!
Особености
За жил.строителство
За контакт:
0888/26-88-18
Агенция:
ИЗИ БИ ДЖИ ООД
02/9-862-863; 0888/26-88-18
ИЗИ БИ ДЖИ ООД logo
Медал за прослужено време
В imot.bg от 2007 г.
easybg.imot.bg
Адрес:
област София, гр. София, София, пл. 'Света Неделя' 16, ет. 4
http://propertiesinbulgaria.com
ИЗПРАТИ ЗАПИТВАНЕ
ИЗПРАТИ ЗАПИТВАНЕТО

Продава ПАРЦЕЛ
област Варна, с. Калиманци
Обява: 1r176831912989060

115 800 €
226 485.11 лв.
История на цената
(30 €, 58.67 лв./m2)

Не се начислява ДДС
ЗАПАЗИ ОБЯВАТА

Местоположение: област Варна, с. Калиманци